株式会社 ミライズ不動産

八戸市/青森市/三沢市/十和田市/おいらせ町/階上町/三戸郡/etc
青森県の不動産探しはミライズ不動産にお任せください

営業時間 / 9:00~17:30 
定休日 / 水曜・木曜・祝日 ℡.0120-933-172

Land for sale売買土地 物件詳細

売買土地

更新日:2026年01月22日

\五戸町鍛冶屋窪 160坪土地/☆建築条件なし☆広い土地をお探しの方へ♪

価格
239万円(坪単価:約1.51万円)
面積
525.62㎡/158.99坪

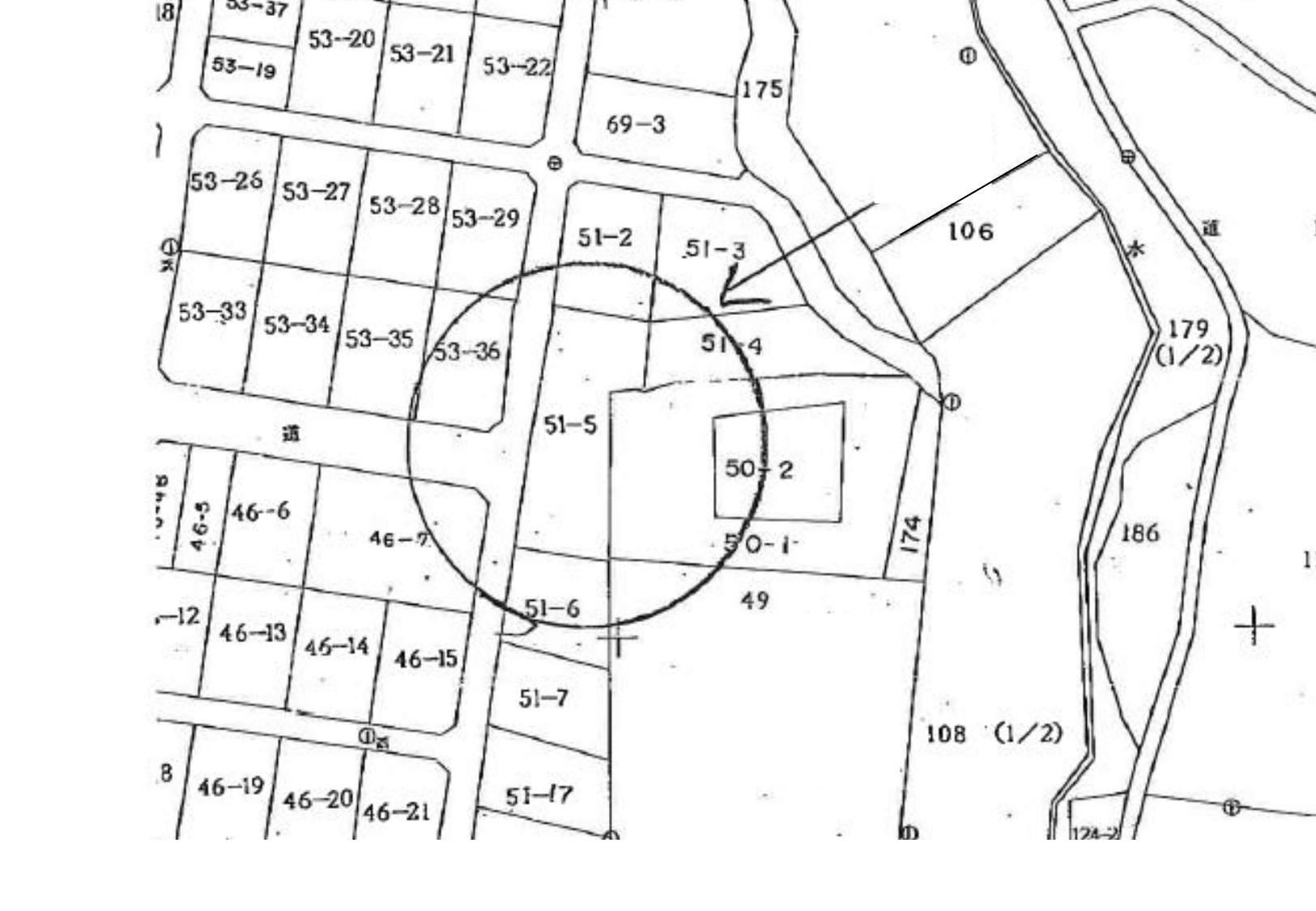
三戸郡五戸町字鍜冶屋窪51-5

掲載内容と現況が異なる場合には
現況優先とさせて頂きます
問合せNo 9055
種別 売買土地 態様 仲介
価格 239万円 坪単価 約1.51万円
所在地 三戸郡五戸町字鍜冶屋窪51-5
交通 五戸コミュニティバス「ひまわり団地」から徒歩2分
土地面積 525.62㎡/158.99坪 他、私道面積
土地権利 所有権 地目 雑種地
都市計画 未線引 用途地域 用途指定のない地域
建ペイ率(%) 70 容積率(%) 200
他、法令上の制限
接道状況 西向き4m 公道 接面18m
建築可/不可 建築可
引渡時期 即時 現 況 更地
舗装 前面は舗装道路です ガス
水道 公営水道(引込済み) 生活排水 浄化槽
学区(小) 五戸町立五戸小学校 学区(中) 五戸町立五戸中学校
備考 ※現況渡し
~おススメポイント~
〇約150坪の更地♪ 〇公営水道引込済み♪ 〇バス停近い♪
~周辺環境~
〇マエダストア五戸店まで車で約3分(約1300m)
〇ローソン五戸町店まで車で約5分(約1650m)
〇五戸小/五戸中エリア
※物件の詳細を知りたい方はお気軽にお問合せください♪
■ミライズ不動産はタナカグループホールディングスの一員です。グループ会社のタナカホーム、フジケンザイと共に安心して暮らせるお家探しをお手伝い致します!

一覧に戻る

青森県内の不動産探しは
ミライズ不動産にお任せください

TEL.0120-933-172

営業時間 / 9:00~17:30 
定休日 / 水曜・木曜・祝日

メールでの
お問い合わせはこちら