株式会社 ミライズ不動産

八戸市/青森市/三沢市/十和田市/おいらせ町/階上町/三戸郡/etc
青森県の不動産探しはミライズ不動産にお任せください

営業時間 / 9:00~17:30 
定休日 / 水曜・木曜・祝日 ℡.0120-933-172

Land for sale売買土地 物件詳細

売買土地

更新日:2026年01月22日

\白銀中学校隣接の約60坪土地!/☆建築条件なし☆お気軽にお問合せください♪

価格
590万円(坪単価:9.5万円)
面積
206㎡/62.31坪

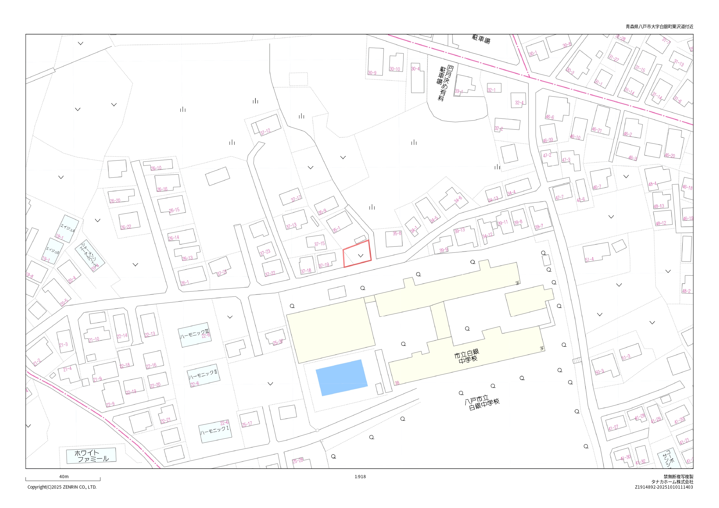
八戸市大字白銀町字栗沢道35-10

掲載内容と現況が異なる場合には
現況優先とさせて頂きます
問合せNo 9089
種別 売買土地 態様 仲介
価格 590万円 坪単価 9.5万円
所在地 八戸市大字白銀町字栗沢道35-10
交通 八戸市営バス「ユニバース白銀店」バス停から徒歩10分です
土地面積 206㎡/62.31坪 他、私道面積
土地権利 所有権 地目
都市計画 市街化区域 用途地域 第一種低層住居専用地域
建ペイ率(%) 50 容積率(%) 80
他、法令上の制限
接道状況 東南角地南側5m・東側4m道路に接道する
建築可/不可 建築可
引渡時期 即時 現 況 更地
舗装 前面は舗装道路です ガス プロパンガス
水道 公営水道(宅地内引込なし) 生活排水 公営下水道
学区(小) 八戸市立白鴎小学校 学区(中) 八戸市立白銀中学校
備考 ~おススメポイント~
〇中学校近い♪ 〇バス停近い♪ 〇スーパー・コンビニ車で3分圏内♪
~周辺環境~
〇ユニバース白銀店まで車で約2分(900m)
〇ローソン北高前店まで車で3分(1500m)
〇白鴎小(約806m)/白銀中(約190m)
※物件の詳細を知りたい方はお気軽にお問合せください♪
■ミライズ不動産はタナカグループホールディングスの一員です。タナカホーム、フジケンザイと共に安心して暮らせるお家探しをお手伝い致します!

一覧に戻る

青森県内の不動産探しは
ミライズ不動産にお任せください

TEL.0120-933-172

営業時間 / 9:00~17:30 
定休日 / 水曜・木曜・祝日

メールでの
お問い合わせはこちら