八戸市/青森市/三沢市/十和田市/おいらせ町/階上町/三戸郡/etc
青森県の不動産探しはミライズ不動産にお任せください
営業時間 / 9:00~17:30
定休日 / 水曜・木曜・祝日 ℡.0120-933-172
表示物件 : 97~108 件目 / 全 178 件
売買土地
1,275万円
3筆合計936㎡(283坪14)
八戸市大字白銀町字雷8
\白銀町雷の約900坪の土地/広い土地をお探しの方へ☆建築条件なし☆近くに小学校、スーパーあります♪
売買土地
2,262万円
1,246㎡(376坪91)
八戸市大字河原木字久保
\河原木字久保の約380坪の土地/広い土地をお探しの方へ☆建築条件なし☆陽当たり良好です♪♪
売買土地
720万円
296.39㎡(89坪65)
八戸市小中野五丁目2
\小中野5丁目の約90坪土地/建築条件なし♪南東向きの閑静な住宅街です♪お気軽にお問合せください!
売買土地
1,310万円
6筆合計地積1312.46㎡(397坪01)
八戸市大字妙字桶屋平
\妙字桶屋平の約400坪土地/建築条件なし♪広い土地をお探しの方へ♪お気軽にお問合せ下さい!
売買土地
180万円
209.30㎡(63坪31)
八戸市南郷大字市野沢字市野沢
\南郷市野沢の約60坪の土地/建築条件なし♪市野沢の中心地でショッピングストアが向にあり生活に便利です♪♪
売買土地
1,972万円
448.99㎡(135坪81)
八戸市北白山台三丁目1
\北白山台三丁目の約135坪の土地/建築条件なし♪コンビニまで徒歩2分と好立地♪お気軽にお問合せ下さい!
売買土地
1,317万円
2筆合計地積363㎡/109坪80
八戸市大字中居林字蓋名池14
\中居林字蓋名池の約100坪土地/広い土地をお探しの方へ!給水管引込済み、下水道供用地区内です♪
売買土地
567万円
314.86㎡/95.25坪
上北郡おいらせ町洋光台六丁目
\おいらせ町洋光台の約95坪土地/おいらせ町いちょう公園そば♪お気軽にお問合せ下さい!
売買土地
450万円
448㎡/135.5坪
三戸郡階上町蒼前西五丁目9-842
\階上町蒼前5丁目 135坪の土地/八戸工業大学近く♪お気軽にお問合せください!
売買土地
600万円
306㎡/92.56坪
八戸市白銀町字堀ノ内19-1
\白銀町字堀ノ内の約90坪の土地/JR駅まで徒歩圏内、バス停までも近く交通の便の良いエリアです♪
売買土地
528万円
148.27㎡/44.85坪
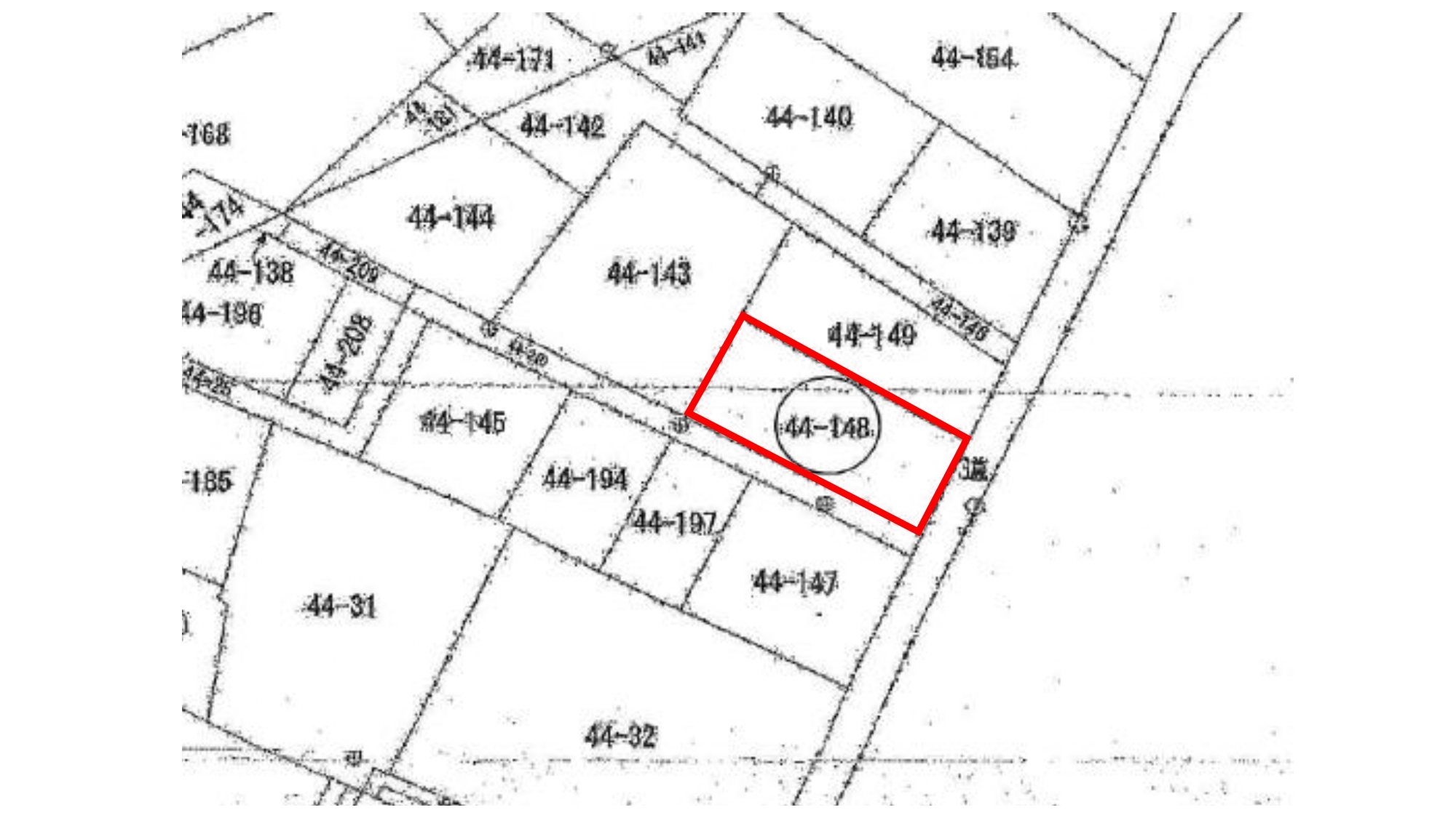
八戸市大字湊町字久保44-148
\湊町字久保の約45坪の土地です/JR八戸線「陸奥湊」駅から徒歩2分と好立地です♪お気軽にお問合せください♪♪
売買土地
914万円
251.66㎡/76.12坪
八戸市湊町字上ノ山61-4
\湊町字上ノ山の約75坪の土地/JR八戸線「陸奥湊」駅まで3分と便利です♪お気軽にお問合せください!