株式会社 ミライズ不動産

八戸市/青森市/三沢市/十和田市/おいらせ町/階上町/三戸郡/etc
青森県の不動産探しはミライズ不動産にお任せください

営業時間 / 9:00~17:30 
定休日 / 水曜・木曜・祝日 ℡.0120-933-172

Land for sale売買土地 物件詳細

売買土地

更新日:2026年01月22日

【ミライズ不動産がお手伝いします!】☆階上町角柄折の約100坪土地☆建築条件なし!お好きなハウスメーカーで建築できます♪広い土地をお探しの方に!緑豊かで静かな環境です♪♪

価格
200万円(坪単価:2万円)
面積
330㎡/99.83坪

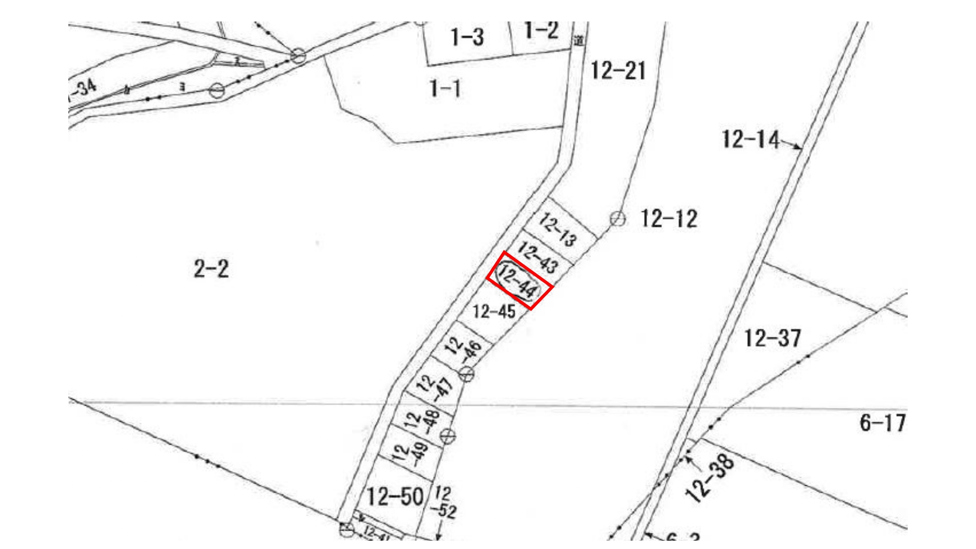
三戸郡階上町角柄折字神子沢

掲載内容と現況が異なる場合には
現況優先とさせて頂きます
問合せNo 9003
種別 売買土地 態様 仲介
価格 200万円 坪単価 2万円
所在地 三戸郡階上町角柄折字神子沢
交通 コミュニティバス「神子沢中央」バス停まで徒歩4分です
土地面積 330㎡/99.83坪 他、私道面積
土地権利 所有権 地目 その他
都市計画 未線引 用途地域 用途指定のない地域
建ペイ率(%) 70 容積率(%) 200
他、法令上の制限
接道状況 西側:接道幅員6mの公道に13m接道しています
建築可/不可 建築可
引渡時期 即時 現 況 更地
舗装 前面は舗装道路です ガス プロパンガス
水道 公営水道 生活排水 浄化槽
学区(小) 階上町立階上小学校 学区(中) 階上町立階上中学校
備考 ※現況渡し
~おススメポイント~
〇建築条件なし♪ 〇小学校徒歩10分♪ 〇八戸高校すぐそば♪
~周辺環境~
〇ユニバース 階上店まで車で約6分(約6200m)
〇ハッピードラッグ階上店まで車で約6分(約6200m)
〇階上小 (約3300m)/階上中 (約5800m)
※物件の詳細を知りたい方はお気軽にお問合せください♪
■ミライズ不動産はタナカグループホールディングスの一員です。タナカホーム、フジケンザイと共に安心して暮らせるお家探しをお手伝い致します!

一覧に戻る

青森県内の不動産探しは
ミライズ不動産にお任せください

TEL.0120-933-172

営業時間 / 9:00~17:30 
定休日 / 水曜・木曜・祝日

メールでの
お問い合わせはこちら